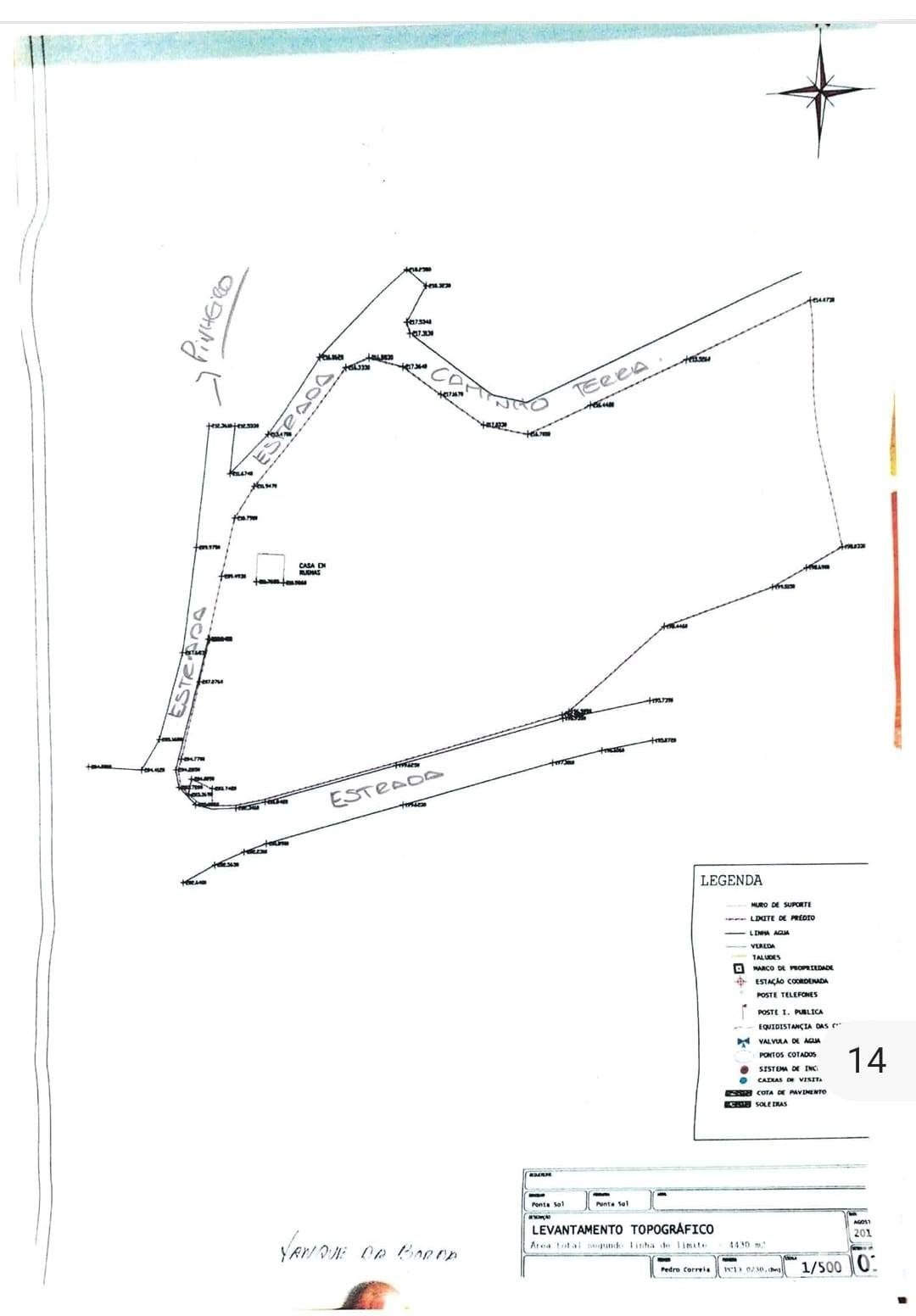
Terreno em Canhas de 4 430 m²
Sobre este terreno em Canhas, Canhas
Terreno Rústico com Vista Mar e Montanha – 4.430 m² | Tanque da Borda – Barreiro e Feiteiras
Apresenta-se uma excelente oportunidade de investimento num terreno rústico com uma área total de 4.430 m², situado na pacata zona de Tanque da Borda, freguesia de Barreiro e Feiteiras.
O terreno destaca-se pelas suas vistas deslumbrantes sobre o mar e a serra, oferecendo um cenário natural único e inspirador – ideal para quem valoriza tranquilidade e contacto com a natureza.
Com três frentes para estrada alcatroada e uma frente adicional para caminho de terra, o acesso é fácil e conveniente, permitindo diversas possibilidades de aproveitamento.
Inclui ainda um antigo palheiro em ruína (atualmente inexistente), o que poderá representar uma mais-valia em termos de edificação futura, mediante análise e licenciamento junto das entidades competentes.
Características principais:
Área total: 4.430 m²
Terreno rústico
Três frentes para estrada alcatroada
Uma frente para caminho de terra
Vista mar e vista montanha
Zona calma, com boa exposição solar
Potencial para projeto agrícola, turístico ou de lazer (sujeito a viabilidade)
Para mais informações ou agendamento de visita, entre em contacto. Aproveite esta oportunidade única de investir num pedaço de natureza com vistas privilegiadas!
Equipamentos
Exterior
Este terreno está localizada em Canhas.








